1er Paso: Identificar la alerta.
- Se recomienda el siguiente "Website": www.guideline.gov, aquí encontrará, un sin número de guías, que le ayudarán a crear las alertas de preferencia a su práctica.
2ndo Paso: Crear la alerta
Existen varias opciones, para configurar las alertas clínicas.
Opción #1
- Presione sobre el texto de "QuickLinks", localizado en la parte superior de la pantalla.
- Seleccione la opción de "Settings".

- Se desplegará la siguiente pantalla:

- Presione el botón de "Clinical" y luego, seleccione la opción de "Clinical Decision Support".

- Se desplegará la siguiente pantalla:

- Si hay alguna nota de progreso abierta de algún paciente, se desplegará la pantalla, con el nombre del paciente Ejemplo:

- En ambos casos, presione el botón de "Add", localizado en la parte superior de la pantalla.
- Se desplegará la siguiente pantalla:

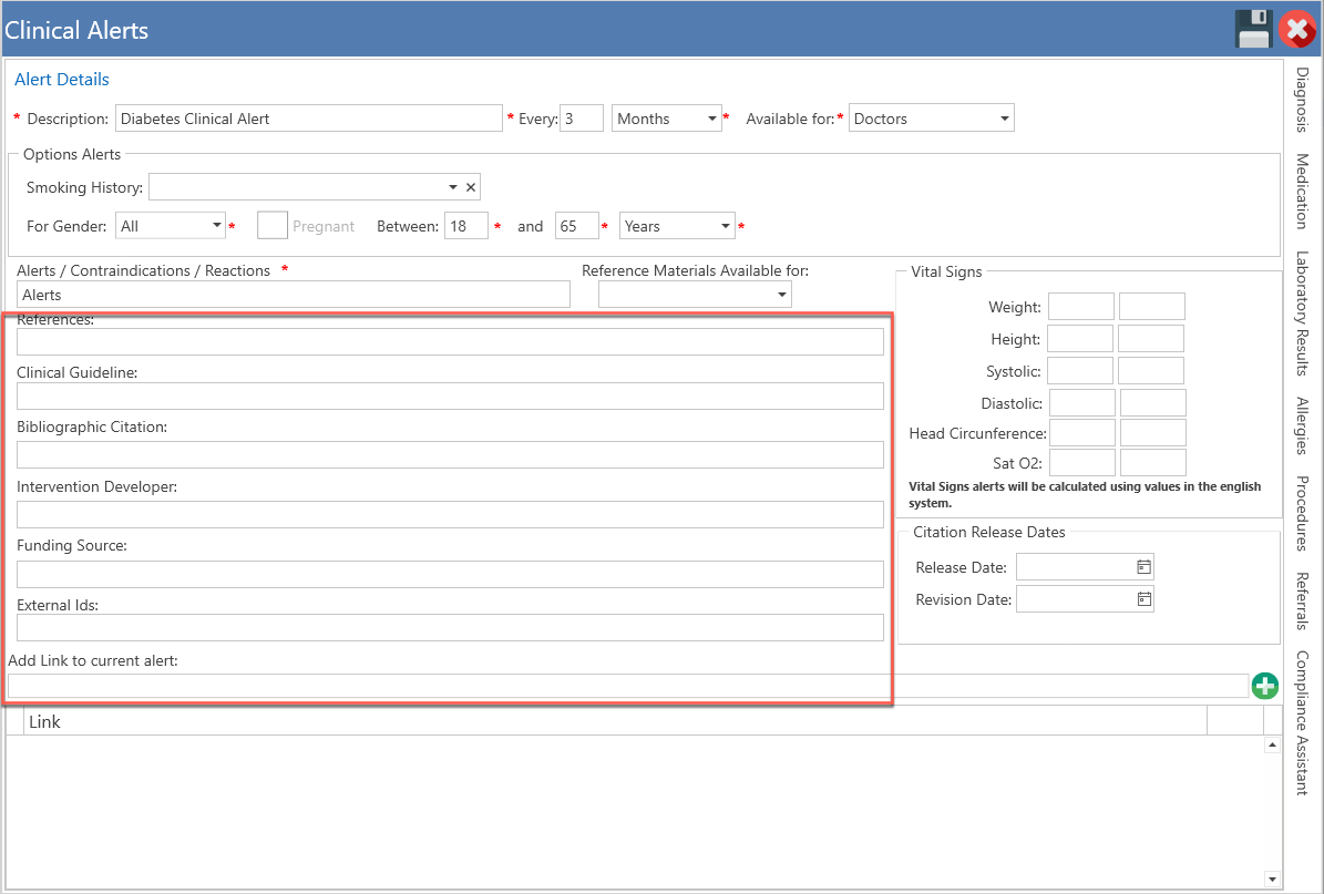
- Escriba la descripción de la alerta clínica.

- Seleccione el periodo de frecuencia, en la que desea se despliegue la alerta clínica.

- Seleccione el grupo, que desea que la alerta clínica esté disponible.

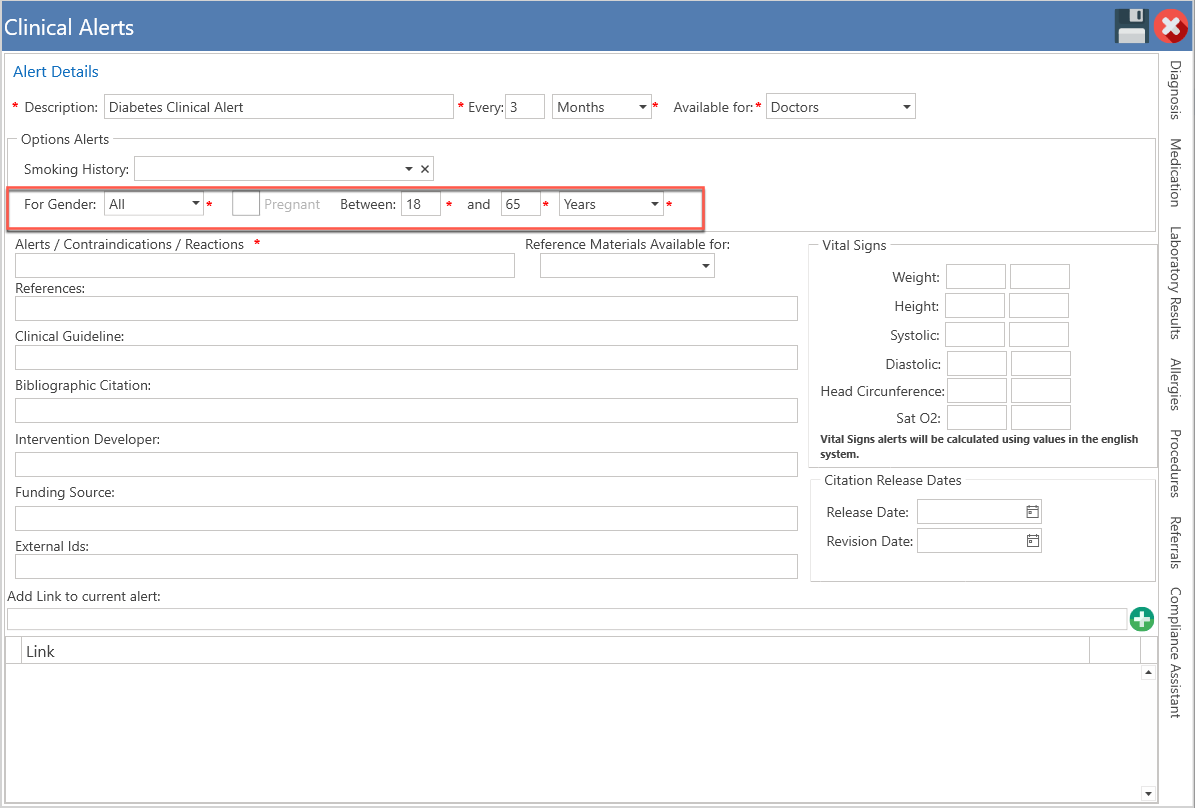
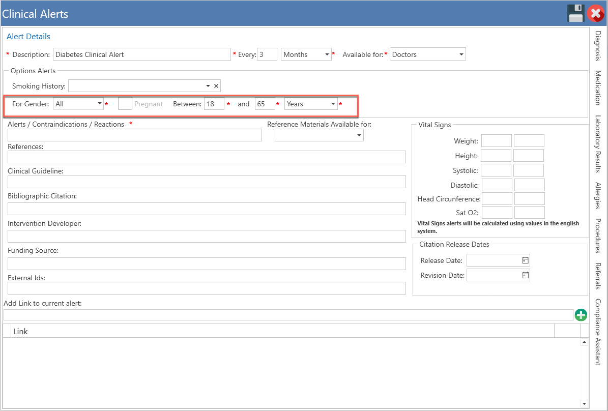
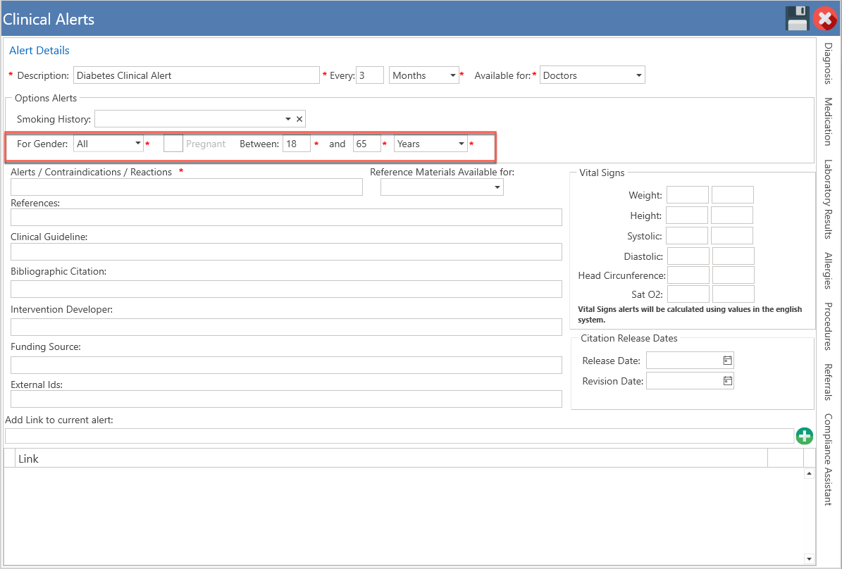
- Seleccione el "Smoking Status" de ser necesario.

- Seleccione a que grupo de pacientes desea se despliegue, la alerta clínica.

- Escriba la alerta, la contra indicación o la reacción que se desplegará en la alerta. Seleccione que grupo tendrá disponible, material de referencia.

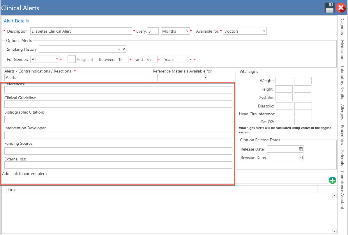
- Si la alerta la está creando, dejándose llevar de una guía, llene los siguientes campos, "References", "Clinical Guidelines", "Bibliographic Citation", "Intervention Developer", "Funding Source", "External Ids", y "Add Link to current alert". Esta información, la encontrará en la guía seleccionada.

- Sección para agregar, el rango de signos vitales, para alerta a crear. En la misma sección, podrá registrar las fechas, que desea se despliegue la alerta.

- Si desea agregarle, algún diagnóstico relacionado a la alerta creada, presione la pestaña de "Diagnosis", localizada en la parte derecha de la pantalla.

- Se desplegará la siguiente pantalla:

- Seleccione el diagnóstico, relacionado a la alerta clínica. Si es un diagnóstico activo del paciente, seleccione el encasillado de "Present".

- Si desea agregarle un medicamento, relacionado a la alerta, presione la pestaña de "Medications", localizada en la parte derecha de la pantalla.

- Se desplegará la siguiente pantalla:

- Seleccione el medicamento correspondiente, a la alerta clínica. Si es un medicamento activo del paciente, seleccione el encasillado de "Present".

- Si desea agregar, resultados de laboratorios, presione la pestaña de "Laboratory Results", localizada en la parte derecha de la pantalla.

- Se desplegará la siguiente pantalla:

- Seleccione el resultado de laboratorio, que desea agregar a la alerta clínica.

- Si desea agregar una alergia, a la alerta del paciente, presione la pestaña de "Allergies", localizada en la parte derecha de la pantalla.

- Se desplegará la siguiente pantalla:

- Seleccione la alergia que desea agregar, a la alerta clínica. Si es una alergia activa del paciente, seleccione el encasillado de "Present".

- Si desea agregar un procedimiento, a la alerta del clínica, presione la pestaña de "Procedures", localizada en la parte derecha de la pantalla.

- Se desplegará la siguiente pantalla:

- Seleccione el procedimiento que desea agregar, a la alerta clínica. Si es un procedimiento activo del paciente, seleccione el encasillado de "Present".

- Si desea agregar un referido, a la alerta del clínica, presione la pestaña de "Referrals", localizada en la parte derecha de la pantalla.

- Se desplegará la siguiente pantalla:

- Seleccione el referido, que desea agregar, a la alerta clínica.

- Una vez completada la configuración de la alerta clínica, presione el botón de "Save", localizado en la parte superior de la pantalla.

- Automáticamente, se desplegará la alerta. En este caso, se le configuró la alerta, a un paciente en específico.

Opción #2
- Presione el botón de "Settings", en el menú principal.

- Se desplegará la siguiente pantalla:

- Presione el botón de "Clinical" y luego, seleccione la opción de "Clinical Decision Support".

- Se desplegará la siguiente pantalla:

- Si hay alguna nota de progreso abierta de algún paciente, se desplegará la pantalla, con el nombre del paciente Ejemplo:

- En ambos casos, presione el botón de "Add", localizado en la parte superior de la pantalla.
- Se desplegará la siguiente pantalla:

- Escriba la descripción de la alerta clínica.

- Seleccione el periodo de frecuencia, en la que desea se despliegue la alerta clínica.

- Seleccione el grupo, que desea que la alerta clínica esté disponible.

- Seleccione el "Smoking Status" de ser necesario.

- Seleccione a que grupo de pacientes desea se despliegue, la alerta clínica.

- Escriba la alerta, la contra indicación o la reacción que se desplegará en la alerta. Seleccione que grupo tendrá disponible, material de referencia.

- Si la alerta la está creando, dejándose llevar de una guía, llene los siguientes campos, "References", "Clinical Guidelines", "Bibliographic Citation", "Intervention Developer", "Funding Source", "External Ids", y "Add Link to current alert". Esta información, la encontrará en la guía seleccionada.

- Sección para agregar, el rango de signos vitales, para alerta a crear. En la misma sección, podrá registrar las fechas, que desea se despliegue la alerta.

- Si desea agregarle, algún diagnóstico relacionado a la alerta creada, presione la pestaña de "Diagnosis", localizada en la parte derecha de la pantalla.

- Se desplegará la siguiente pantalla:

- Seleccione el diagnóstico, relacionado a la alerta clínica. Si es un diagnóstico activo del paciente, seleccione el encasillado de "Present".

- Si desea agregarle un medicamento, relacionado a la alerta, presione la pestaña de "Medications", localizada en la parte derecha de la pantalla.

- Se desplegará la siguiente pantalla:

- Seleccione el medicamento correspondiente, a la alerta clínica. Si es un medicamento activo del paciente, seleccione el encasillado de "Present".

- Si desea agregar, resultados de laboratorios, presione la pestaña de "Laboratory Results", localizada en la parte derecha de la pantalla.

- Se desplegará la siguiente pantalla:

- Seleccione el resultado de laboratorio, que desea agregar a la alerta clínica.

- Si desea agregar una alergia, a la alerta del paciente, presione la pestaña de "Allergies", localizada en la parte derecha de la pantalla.

- Se desplegará la siguiente pantalla:

- Seleccione la alergia que desea agregar, a la alerta clínica. Si es una alergia activa del paciente, seleccione el encasillado de "Present".

- Si desea agregar un procedimiento, a la alerta del clínica, presione la pestaña de "Procedures", localizada en la parte derecha de la pantalla.

- Se desplegará la siguiente pantalla:

- Seleccione el procedimiento que desea agregar, a la alerta clínica. Si es un procedimiento activo del paciente, seleccione el encasillado de "Present".

- Si desea agregar un referido, a la alerta del clínica, presione la pestaña de "Referrals", localizada en la parte derecha de la pantalla.

- Se desplegará la siguiente pantalla:

- Seleccione el referido, que desea agregar, a la alerta clínica.

- Una vez completada la configuración de la alerta clínica, presione el botón de "Save", localizado en la parte superior de la pantalla.

- Automáticamente, se desplegará la alerta. En este caso, se le configuró la alerta, a un paciente en específico.

Opción #3
- Presione el texto de "QuickLinks", localizado en la parte superior de la pantalla y seleccione la opción de "Settings Clinical Decision Support".

- Se desplegará la siguiente pantalla:

- Si hay alguna nota de progreso abierta de algún paciente, se desplegará la pantalla, con el nombre del paciente Ejemplo:

- En ambos casos, presione el botón de "Add", localizado en la parte superior de la pantalla.
- Se desplegará la siguiente pantalla:

- Escriba la descripción de la alerta clínica.

- Seleccione el periodo de frecuencia, en la que desea se despliegue la alerta clínica.

- Seleccione el grupo, que desea que la alerta clínica esté disponible.

- Seleccione el "Smoking Status" de ser necesario.

- Seleccione a que grupo de pacientes desea se despliegue, la alerta clínica.

- Escriba la alerta, la contra indicación o la reacción que se desplegará en la alerta. Seleccione que grupo tendrá disponible, material de referencia.

- Si la alerta la está creando, dejándose llevar de una guía, llene los siguientes campos, "References", "Clinical Guidelines", "Bibliographic Citation", "Intervention Developer", "Funding Source", "External Ids", y "Add Link to current alert". Esta información, la encontrará en la guía seleccionada.

- Sección para agregar, el rango de signos vitales, para alerta a crear. En la misma sección, podrá registrar las fechas, que desea se despliegue la alerta.

- Si desea agregarle, algún diagnóstico relacionado a la alerta creada, presione la pestaña de "Diagnosis", localizada en la parte derecha de la pantalla.

- Se desplegará la siguiente pantalla:

- Seleccione el diagnóstico, relacionado a la alerta clínica. Si es un diagnóstico activo del paciente, seleccione el encasillado de "Present".

- Si desea agregarle un medicamento, relacionado a la alerta, presione la pestaña de "Medications", localizada en la parte derecha de la pantalla.

- Se desplegará la siguiente pantalla:

- Seleccione el medicamento correspondiente, a la alerta clínica. Si es un medicamento activo del paciente, seleccione el encasillado de "Present".

- Si desea agregar, resultados de laboratorios, presione la pestaña de "Laboratory Results", localizada en la parte derecha de la pantalla.

- Se desplegará la siguiente pantalla:

- Seleccione el resultado de laboratorio, que desea agregar a la alerta clínica.

- Si desea agregar una alergia, a la alerta del paciente, presione la pestaña de "Allergies", localizada en la parte derecha de la pantalla.

- Se desplegará la siguiente pantalla:

- Seleccione la alergia que desea agregar, a la alerta clínica. Si es una alergia activa del paciente, seleccione el encasillado de "Present".

- Si desea agregar un procedimiento, a la alerta del clínica, presione la pestaña de "Procedures", localizada en la parte derecha de la pantalla.

- Se desplegará la siguiente pantalla:

- Seleccione el procedimiento que desea agregar, a la alerta clínica. Si es un procedimiento activo del paciente, seleccione el encasillado de "Present".

- Si desea agregar un referido, a la alerta del clínica, presione la pestaña de "Referrals", localizada en la parte derecha de la pantalla.

- Se desplegará la siguiente pantalla:

- Seleccione el referido, que desea agregar, a la alerta clínica.

- Una vez completada la configuración de la alerta clínica, presione el botón de "Save", localizado en la parte superior de la pantalla.

- Automáticamente, se desplegará la alerta. En este caso, se le configuró la alerta, a un paciente en específico.

Artículo Recomendado:
- Conociendo el área de: Settings / Clinical / Clinical Decision Support